张江双子塔项目又有新进展
浦东新区新闻办介绍,张江双子塔项目又有新进展。近日,张江科学城建设管理办公室公布了张江双子塔的地上连桥项目公示,东塔和西塔之间将建造两座连桥,一起来看↓
项目名称
张江56-01地块至75-02地块地上连桥项目
张江57-02地块至58-01地块地上连桥项目
建设单位
上海东翌置业有限公司
建设地址
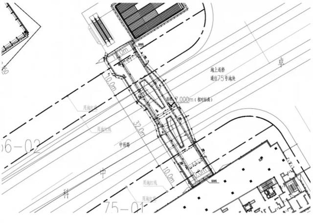
56-01地块至75-02地块二层连接,横跨中科路。
57-02地块至58-01地块二层连接,横跨卓闻路。
建设范围
中科路连桥连接56-01地块二层及75-02地块二层,横跨中科路上方。
卓闻路连桥西侧连接57-02地块,横跨卓闻路,东侧58-01地块2F裙房。
建设规模
中科路连桥宽度为10.0-12.5m,全长约61.5m,结构缝之间的面积622平方米。
卓闻路连桥宽度为9.6-10.5m,全长约34m,结构缝之间的面积330.2平方米。
工程范围
连桥工程、排水工程及相配套的连桥照明、绿化景观设施等附属工程。
公示图
56-01地块至75-02地块地上连桥
本文来源:上海发布 作者: 责任编辑:顾铭






揭上海人都爱的"光明"
